
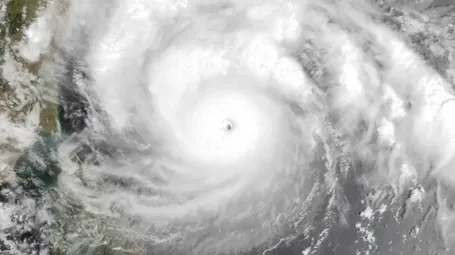
বঙ্গোপসাগরে সৃষ্ট ঘূর্ণিঝড় মোখা (Mocha)। ইয়েমেন এই ঘূর্ণিঝড়ের নাম করেছে। ইয়েমেনের রাজধানী সানার একটি বন্দরের নাম ‘মোখা’ বা ‘মুখা’। গোটা বিশ্বে কফি রফতানির জন্য বিখ্যাত ইয়ামেন। কফিপ্রেমীদের কাছে ‘মোখা’ অত্যন্ত পরিচিত নাম। সেই নামেই এই ঘূর্ণিঝড়ের নাম ‘মোখা’।
WMO/ESCAP এর সুপারিশ মোতাবেক যেকোনো ঘূর্ণিঝড়ের নাম ঠিক করা হয়। ‘প্যানেল অন ট্রপিকল সাইক্লোন’ নামের তালিকা থেকে নাম ঠিক করে। কোনো ব্যক্তি বা দেশ যাতে আঘাত না পায় এমনভাবেই নামকরণ করতে হয় ঘূর্ণিঝড়ের।
শেয়ার করুন: